On the Fifth Anniversary of Superstorm Sandy, a Look at 2017

On the Fifth Anniversary of Superstorm Sandy, a Look at 2017

Tue October 31st, 2017
Heather Goldstone & Elsa Partan | Living Lab Radio

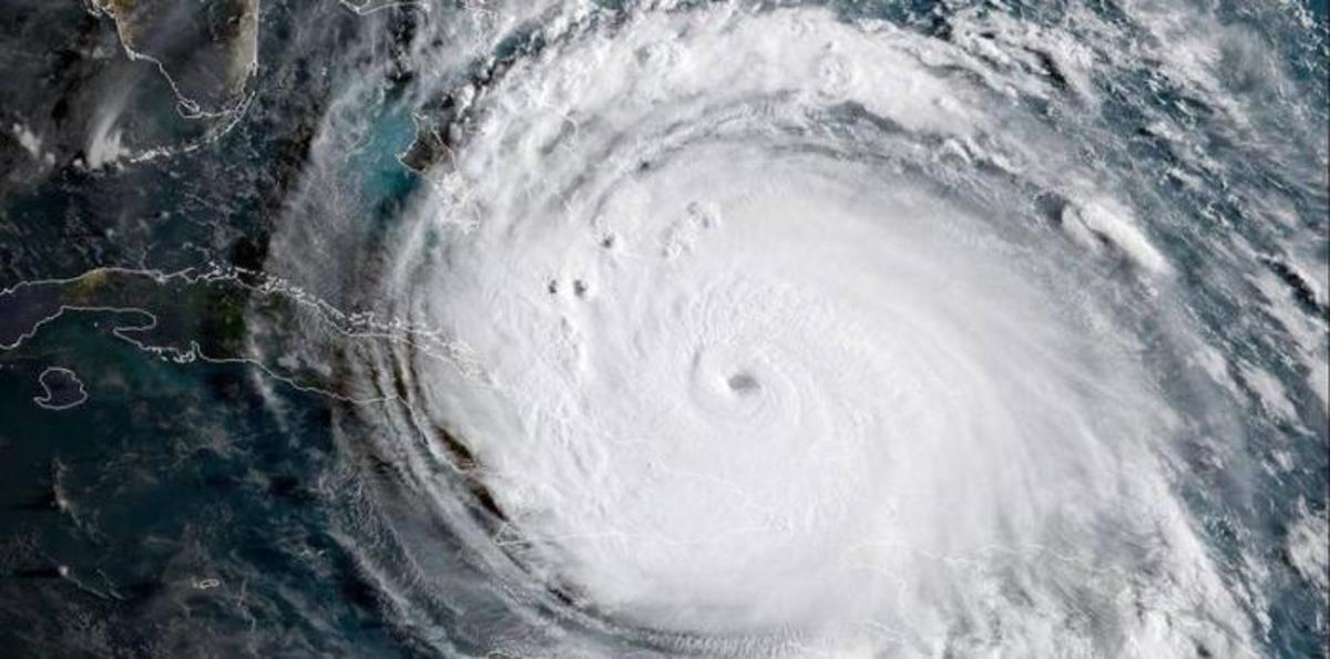
Irma_color.jpg (Full)

It’s been five years since Superstorm Sandy struck New England. This hurricane season set a record for the most consecutive hurricanes and threatens to make that unprecedented storm seem run-of-the-mill. 

In the 2017 season, there were ten named storms including Harvery, Irma, and Maria. While the science linking climate change and hurricane activity continues to evolve, one scientist says we have more than enough information to warrant action. We speak with Kerry Emanuel, the Cecil & Ida Green Professor of Atmospheric Science and Co-Director of the Lorenz Center for climate science at MIT. 

Prof. Emanuel is a prominent meteorologist and climate scientist who specializes in moist convection in the atmosphere, and tropical cyclones. His research interests focus on tropical meteorology and climate, with a specialty in hurricane physics. His interests also include cumulus convection, the role of clouds, water vapor, and upper-ocean mixing in regulation of climate, and advanced methods of sampling the atmosphere in aid of numerical weather prediction.

Listen to the interview and watch Emanuel's recent talk "What Do Hurricanes Harvey and Irma Portend?"